2
Курганский рыбак наловил двухкилограммовых карасей на необычную приманку. Фото

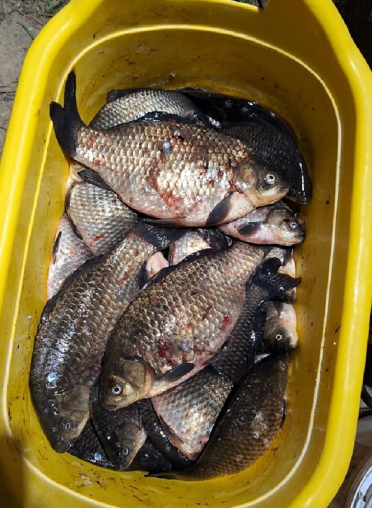
В Курганской области рыбак наловил карасей
В Курганской области рыбак похвастался удачным уловом карасей на озере Салтосарайское. Рыба ловилась весом под два килограмма на приманку из гороха и перловки. Об этом мужчина рассказал в соцсети.
«В Белозерском округе на озере Салтосарайское хорошо клевали караси весом до 1,7 килограмма и выше. На прикормку использовали перловку и вареный горох», — сообщается в паблике «Рыбалка в Кургане 45 RUS» во «ВКонтакте».
Ранее курганец удивил рыбаков уловом в микрорайоне Черемухово. Там мужчина наловил мешок рыбы на фидер.
Сохрани номер URA.RU - сообщи новость первым!
Что случилось в Кургане? Переходите и подписывайтесь на telegram-канал «Курганистан», чтобы узнавать все новости первыми. Теперь мы и в MAX!
Каждый день — только самое важное. Читайте дайджест главных событий России и мира от URA.RU, чтобы оставаться в курсе. Подпишись!
Комментарии ({{items[0].comments_count}})
Показать еще комментарии
оставить
свой комментарий
{{inside_publication.title}}
{{inside_publication.description}}
Комментарии ({{item.comments_count}})
Показать еще комментарии
оставить свой
комментарий
Загрузка...